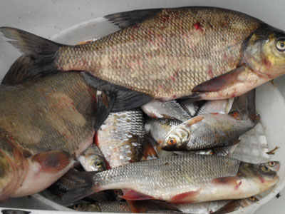
Осторожно! На рынках Краматорска может появиться отравленная рыба (ВИДЕО) |
|
|
||
| ||
Найбільш читане
- У Лиманській громаді залишається понад 2500 мешканців, а евакуація та доставка гуманітарної допомоги майже неможливі
- У фронтовому місті Краматорського району 17-річний хлопець втратив руку через атаку дрона
- Ворог планомірно знищує місто в Краматорському районі
- БТРом, човнами і пішки - бійці 63-ї ОМБр вивезли десятьох місцевих мешканців із зони бойових дій у Краматорському районі
- У Краматорському районі за добу обстрілів поранено чотирьох людей
Останні народні новини
- Три з трьох! Три смаки Sticketti від КИЇВХЛІБ отримали золото Favorite Food&Drinks 2026
- Ріст тарифів необхідно зупинити
- ALVIVA GROUP на Gulfood 2026: курс на підкорення ринку MENA
- ALVIVA GROUP збільшує площу посівних земель на 26% завдяки розмінуванню та рекультивації
- КИЇВХЛІБ – володар першої "Срібної кнопки" YouTube в українському фуд-сегменті
Даючи рекламу одночасно у дві газети - "Технополіс" и "Четвер", Ви заощаджуєте гроші, а реклама працює вдвічі ефективніше! Телефони відділу реклами:
(06264) 3-43-68
(06264) 3-57-44
050-855-05-12
Найкоментованіше
Опитування
Результати: 70
На реке Казенный Торец, в районе Дружковки, произошел массовый мор рыбы. По информации издания 